Sign up to get new listings emailed daily! JOIN SIGN IN
Russell Cox
Relocation Director
REALTOR®
Cell: (254) 717-6447
Facebook Icon LinkedIn Icon Pinterest Icon Instagram Icon Twitter Icon VCard Icon 
Refine Search

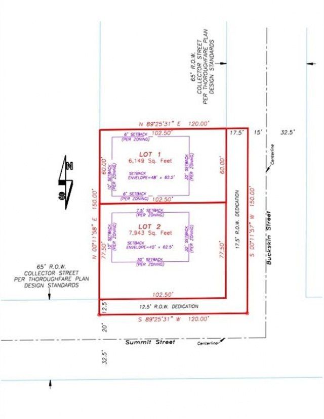
417 Summitt Street, Farmersville, TX 75442

$110,000
  • 417 Summitt Street, Farmersville, TX 75442 Main Photo

2 Total Photos [Click to View All]

Active
BEDS2 BATHS1 full SQUARE FEET832 MLS#20831046
STATUSActive PROPERTY TYPEResidential - Single Family SUBDIVISIONColeman Add SCHOOLFarmersville ISD

Property Description

Calling all investors and developers!! This is an Amazing opportunity to develop one large residential lot or build two SFR once the process to subdivide is finished prior to closing. This land is Within city limits offering city services with no acre restrictions or need for septic!! Ideal corner location with easy access to 380 and downtown Farmersville. The new survey is available and re-plat almost done! just waiting for the buyer to decide what they want to do. The current home has not been condemned but No showings inside will be permitted. Being sold as is. value is in the land mostly.

417 Summitt Street | MLS# 20831046

This single family home located at 417 Summitt Street, Farmersville, TX 75442 is currently listed for sale with an asking price of $110,000. This property was built in 1956 and has 2 bedrooms and 1 full baths with 832 sq. ft. Summitt Street is located in the Coleman Add subdivision within the Farmersville ISD school district. Search Coleman Add real estate on www.254sale.com today.

Property Features

Property Type: Residential - Single Family
Lot Size: 0.41 Acres
Year Built: 1956

Amenities

Other

Feature Descriptions

Appliances: None
Days on Site: 400
Exterior: Unknown
Fencing: Other
Lot: Corner Lot, Irregular Lot, Level
Parcel#: R1049012018D1
Parking: Driveway
Parking Notes: Driveway
Utilities: City Sewer, City Water, Electricity Available, Sewer Available

Room Sizes

Bedroom: 1.00 x 1.00 Level - 1
Bedroom-Primary: 1.00 x 1.00 Level - 1

Local Schools

Elementary School: Farmersville
School District: Farmersville ISD

Listed By / Shown By

Listed By

Agency Name: Align Realty
Agency Contact: 214-799-1930
Agent Name: Geniya Talsky

agent picture

Shown By

Agent Name: Russell Cox
Agent Phone: Cell: (254) 717-6447
Agency Title: Kelly, Realtors

IDX logo

Estimate Your Payment

Estimated Payment

$ 276.90 per month $244.81 Principal & Interest $0.00 Property Tax (data not provided by mls) $32.08 Homeowner's Insurance

Change Payment Information

%
years/fixed
yearly
yearly (est.)
(Payments are an estimate and may vary by lender)
Disclaimer: All information deemed reliable but not guaranteed. All properties are subject to prior sale, change or withdrawal. Neither listing broker(s) or information provider(s) shall be responsible for any typographical errors, misinformation, misprints and shall be held totally harmless. Listing(s) information is provided for consumers personal, non-commercial use and may not be used for any purpose other than to identify prospective properties consumers may be interested in purchasing. Information on this site was last updated 03/07/2026. The listing information on this page last changed on 03/07/2026. The data relating to real estate for sale on this website comes in part from the Internet Data Exchange program of Delta Media Group MLS (last updated Sat 03/07/2026 12:00:00 AM EST) or NTREIS (last updated Fri 03/06/2026 11:48:56 PM EST) or SABOR MLS (last updated Fri 03/06/2026 11:52:33 PM EST) or CTXMLS (last updated Fri 03/06/2026 11:34:33 PM EST). Real estate listings held by brokerage firms other than Kelly, Realtors may be marked with the Internet Data Exchange logo and detailed information about those properties will include the name of the listing broker(s) when required by the MLS. All rights reserved.

ntreis logoThe data relating to real estate for sale on this web site comes in part from the IDX of the Multiple Listing Service of NTREIS. The data on this site may not be reproduced or redistributed and is only for those individuals viewing this web site. Real estate listings held by brokerage firms other than the brokers/agents with their own information using this site are marked with the NTREIS thumbnail logo and detailed information about them includes the name of the listing broker(s).

Privacy Policy / DMCA Notice / ADA Accessibility


Agent License Information: 0507004

Login to My Homefinder

Pixel